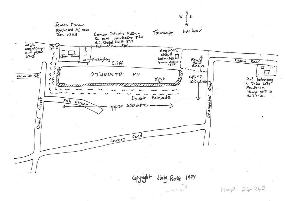
Date1997Reference NumberMap 24-242DescriptionPhotocopy of a sketch of Ōtūmoetai Pā by Jinty Rorke in 1997. The sketch covers the area of the Pā and area from Beach Road, Levers Road and Waratah Streets to the harbour's edge. Features James Farrow, Roman Catholic Mission, Anglican Chapel, John Lees Faulkner house and Ōtūmoetai Pā site. The sketch is based on the following maps from c. 1860s:
Map 1: "Ōtūmoetai and Early Times in Tauranga" by A. H. Matheson in Journal of the Tauranga Historical Society Number 54 (1975)
Map 2: Detail from nautical chart of "Upper part of Tauranga Harbr. by F. C. Corbet .... HMS Miranda 1864.
Map 3: Photocopy of part map Ōtūmoetai c. 1880s
Kaitiakitanga StatementWe ask that, in addition to normal copyright and privacy considerations, users of our heritage resources uphold the mana and dignity of the people, communities and places depicted within.Cultural/Ethical StatusNoaRestrictionsNo cultural/ethical restrictions apply. However, copyright applies.CopyrightRorke, Jean Euphemia Finlayson, née Hill, 1942-2014AcknowledgementTe Ao Mārama - Tauranga City Libraries Map 24-242